Retour

Saint-Étienne (42000)
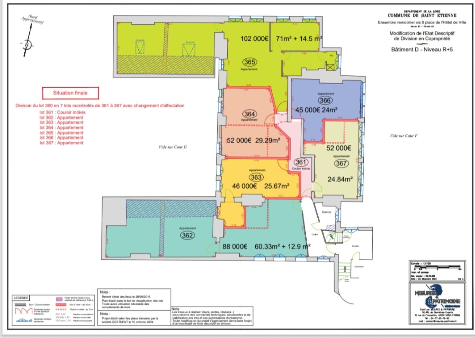
Plateau 60m² Carrez+12m² hors Carrez place de l'Hôtel Ville

Prix
du bien
88 000 €
réf : 493a

01
Général

En exclusivité plateau de 60m² Carrez+12m² hors Carrez, situé au 6 place de l'Hôtel de Ville, extrêmement bien situé.

SAD pour les cloisons séparatrices entre les appartements.

L’ensemble des fluides.
Porte palière.
Accord de la copropriété.
Sur le lot 360, nous avons l’accord pour mettre deux Velux.
Les lots sont très lumineux, les fenêtres en bonnes états, l’emplacement idéal, une belle hauteur.
Interphones nouvelles générations avec ouverture à distance sur le téléphone et immeuble très sécurisé.
Ascenseur qui arrive sur le palier.
Colonne électrique neuve.
Plateaux avec différentes superficie sont également disponibles.
Vidéos complète des différents lots sur demande.
Non soumis au DPE. taxe foncière à définir.
Charges 30€/mois.
Mr Gonzalez Jérémy O6 58 70 36 83. CPI42022021000000001 délivrée par CCI de Lyon métropole Saint-Etienne Roanne date de validité 22/02/2027. Identification 894020387. ADC 42022024000000102. RSAC 529115008. RC PRO 142038532« Les informations sur les risques auxquels ce bien est exposé sont disponibles sur le site Géorisques: www.georisques.gouv.fr » (C. envir., art. R. 125-25, I).

02
Plus d'infos

  • Code postal
    42000
  • Surface habitable (m²)
    72 m²
  • Surface loi Carrez (m²)
    60 m²
  • Nombre de pièces
    2

03
Financier

  • Prix de vente honoraires TTC inclus
    88 000 €

04
Bilan énergétique

DPE GES
Nos outils

Plus d'informations sur
le quartier

  • Commerces et santé
  • Loisirs
  • Ecoles
  • Transports
  • Pratique
Intéressé(e)
par ce bien